펀다이빙 - 이지다이브 리조트 - 힐룽뚜안

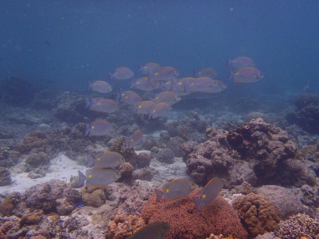
가이드 지멜과 멀티레벨 조류 다이빙..5~10미터 저멀리 보이는 막탁지역에 엄청난 비가 오는것이 보이고 이쪽은 해만??한데 그러다가 이쪽도 비가 퍼붓기 시작..서둘러 입수하여 우중다이빙을함 리프지역에서 수많은 산호와 나비물고기등 수많은 어류를 봄.. 나비 물고기는 나를빤히 쳐다보곤 도망가지도 않음... 점심 식사는 힐룽뚜안에서 씨푸드 로 먹음.. 실은 교육끝나고 바로 모알보알로 넘어가려 했으나 막탄의 바다를 눈으로 보고 시퍼서 펀 하루일정을 잡은 것이지만 그리썩 볼거리나 흥미스러운것은 없었음.

펀다이빙 - 이지다이브 리조트 - 힐룽뚜안 펀다이빙 - 이지다이브 리조트 - 힐룽뚜안 펀다이빙 - 이지다이브 리조트 - 힐룽뚜안 펀다이빙 - 이지다이브 리조트 - 힐룽뚜안 펀다이빙 - 이지다이브 리조트 - 힐룽뚜안 펀다이빙 - 이지다이브 리조트 - 힐룽뚜안 펀다이빙 - 이지다이브 리조트 - 힐룽뚜안 펀다이빙 - 이지다이브 리조트 - 힐룽뚜안 펀다이빙 - 이지다이브 리조트 - 힐룽뚜안 펀다이빙 - 이지다이브 리조트 - 힐룽뚜안